手机版

温馨提示:本网站已实现河北省内政务服务一号登录,新用户请注册并完成中级以上实名认证,即可正常登录本网站。

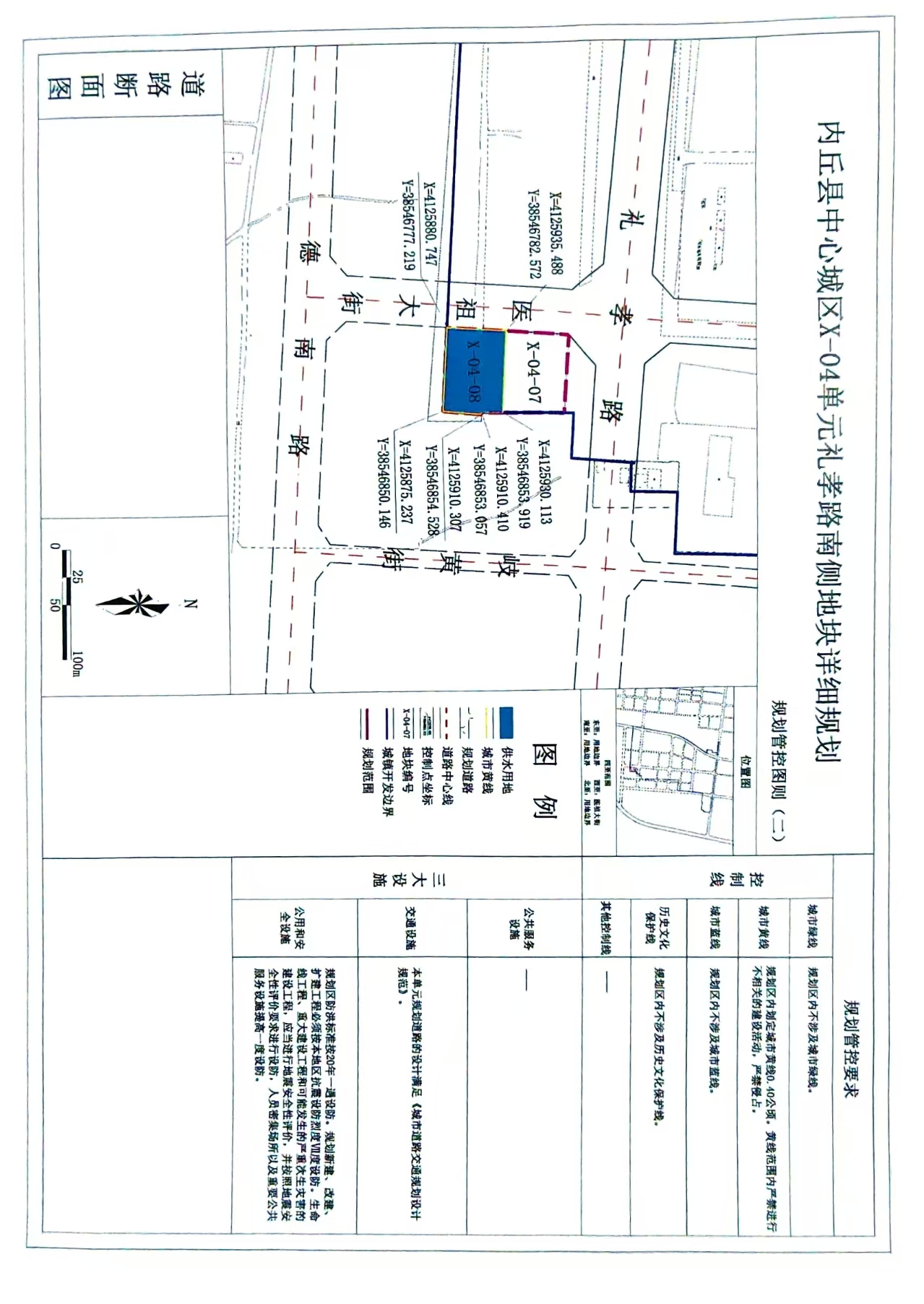
内丘县自然资源和规划局关于《内丘县中心城区X-04单元礼孝路南侧 地块详细规划》的公示

2025-11-03      发布机构:自然资源和规划局      浏览次数:117     字体:[  ]

体裁分类:公告公示      主题分类:城乡建设、环境保护      文号:      索引号:linyeju/1762163732847

7d5d09cbc613e6384ca211754fa3f3f9.jpg

08ac510d2551e222fbbec1d3c141e6b0.jpg

90f68d21f0caf51fee9877472a20ec2b.jpg